Ainda está longe a chegada da chamada Semana Santa – em abril –, quando a tradição católica orienta seus seguidores a trocarem a carne vermelha pelo pescado. No entanto, os preços do peixe na região mais piscosa do Estado, o Juruá, já estão nas alturas. A tendência é que, nesse período, o peixe fresco fique ainda mais caro.

A Semana Santa é um período em que muitas pessoas optam por substituir a carne vermelha pelo consumo de pescados/Foto: Ascom/Prefeitura de Rio Branco
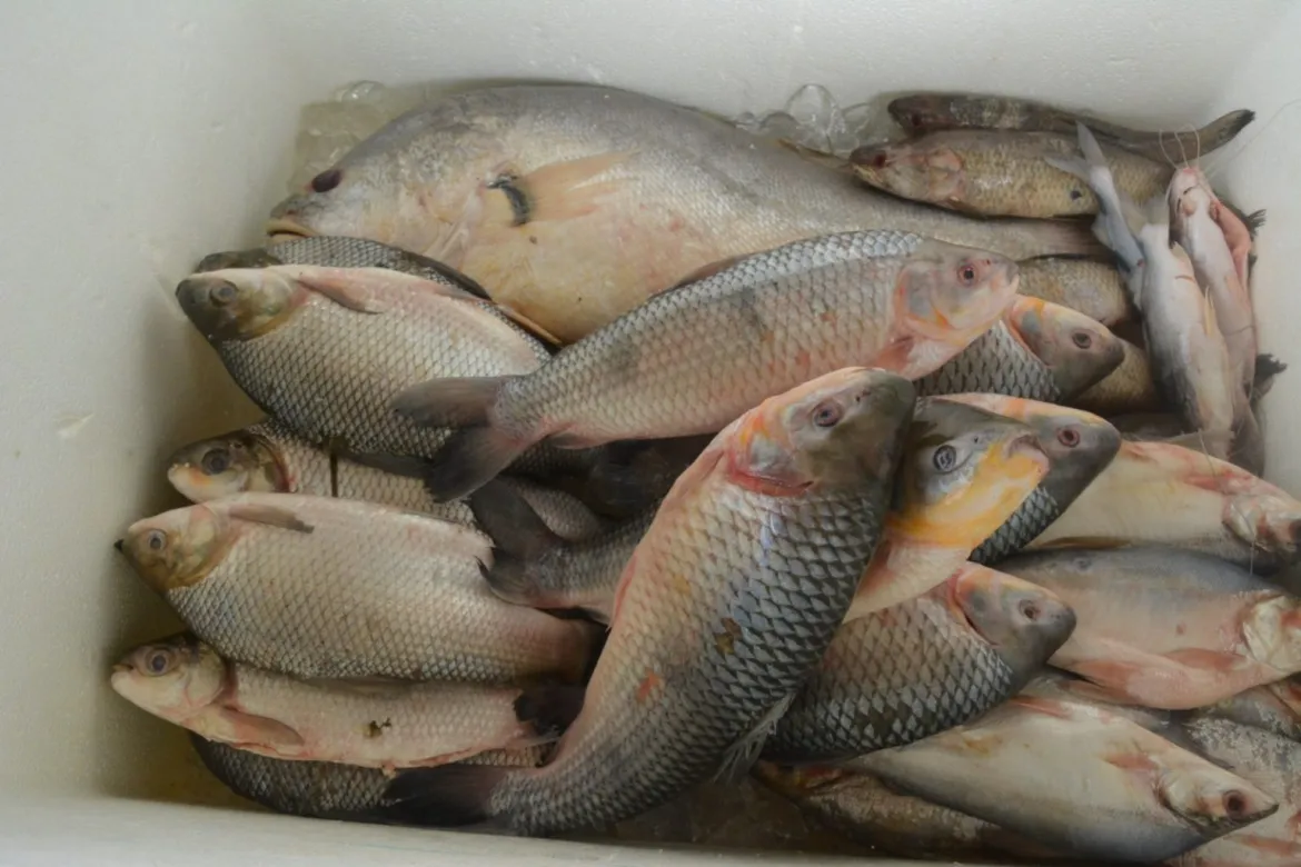
O matrinxã e o tambaqui, duas das espécies de peixe mais consumidas na dieta dos acreanos, especialmente pelas populações que habitam a região do Juruá, estão com os preços elevados. Em algumas cidades, como Cruzeiro do Sul, esses peixes já disputam o mesmo valor – ou, em certos momentos, custam até mais caro – que a carne vermelha, seja bovina ou suína. O quilo do matrinxã, anteriormente vendido por, no máximo, R$ 19,00, agora custa R$ 27,00. O tambaqui seguiu a mesma tendência e saltou de R$ 18,00 para R$ 26,00 pelo mesmo quilo.
Os comerciantes da área atribuem os novos valores às dificuldades na captura do pescado na região, mesmo sendo considerada a mais piscosa do Estado. Além disso, o preço dos insumos, como transporte e ração para a alimentação dos peixes criados para o abate, também aumentou significativamente, segundo José Francisco do Carmo, vendedor de pescado no mercado de Cruzeiro do Sul há pelo menos 18 anos. “Os novos valores são repassados para nós também. A venda caiu um pouco porque os consumidores sentiram o impacto”, revelou.
José Oliveira, outro vendedor, concorda. “A gente comprava esse peixe por R$ 20,00, agora está R$ 22,00. A ração aumentou bastante, e o transporte também. No final, é o consumidor que acaba pagando a conta”, avalia.